Notícias

Soja: como escolher a melhor cultivar para sua lavoura
Entenda quais fatores técnicos e estratégicos devem orientar a escolha da cultivar de soja, desde ambiente e fertilidade do solo até manejo fitossanitário e planejamento produtivo. Escolher uma cultivar de soja vai muito além de olhar rankings de produtividade ou recomendações pontuais. Na prática, essa decisão influencia diretamente o planejamento agronômico da fazenda, o manejo da lavoura e a previsibilidade de resultados ao longo da safra. Cada cultivar carrega características genéticas

Fertilidade do solo na soja: o caminho para a alta produtividade
Compreenda a relação entre a fertilidade do solo e a correção da acidez para alcançar tetos produtivos elevados na sua lavoura

Estação do Futuro: Golden Harvest reúne multiplicadores para apresentar inovação e portfólio em Uberlândia
Uma experiência que conectou pesquisa, prática e parceiros na construção de cultivares que impulsionam a evolução da soja

Como fazer a calendarização da aplicação de fungicidas na soja?
Entenda o que é a calendarização da aplicação de fungicidas na soja e sua importância para um manejo fitossanitário assertivo

Boas práticas de regulagem da colheitadeira de soja
Da calibração do maquinário à escolha da cultivar ideal: entenda como integrar ajustes de regulagem da colheitadeira de soja e decisões agronômicas para reduzir as perdas e garantir a rentabilidade da safra

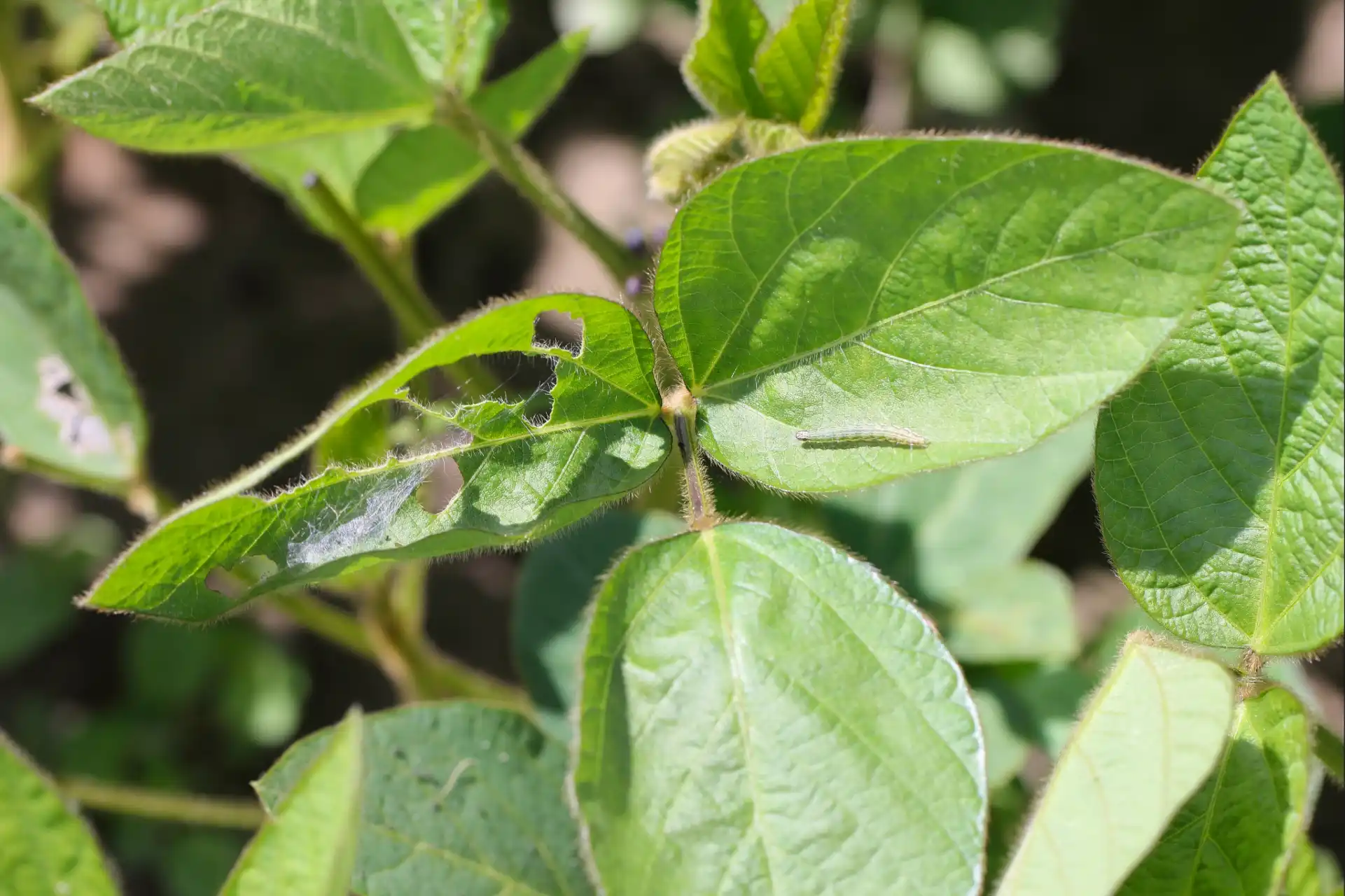
Manejo de lagartas na soja: como proteger o potencial produtivo desde a semente?
Saiba como manejar lagartas na soja, quais espécies mais preocupam o produtor e por que a escolha da semente é decisiva para preservar o potencial produtivo.